■剛性体とコルクラバーによる
カメラ高剛性取り付け機構
安定 迅速 高剛性
梅本製作所が開発した、
世界で唯一のカメラ台!!
製品特許を取得しています。
このカメラ台は新開発のカメラ高剛性取り付け機構により、
カメラの滑り止めのためのコルクラバーを有しながら、
コルクラバーのやわらかさによるカメラの微小なユレやブレを極限まで抑えることに世界で初めて成功しました。
![]() |
![]() |
この機構は、
カメラ底面との高い摩擦を生じさせるためのコルクラバー製のクッションと、
カメラと雲台との取り付け剛性を高めるための硬質プラスチック製の剛性体から成っています。
剛性体は円形で、カメラ取り付けネジの前後左右4点のクッションの中に埋め込まれています。
このカメラ台にカメラを取り付けると、
カメラによって押しつぶされたクッションがカメラの滑り止めとなり、
それと同時に剛性体がカメラと雲台をダイレクトに結合するので、
高い取り付け剛性を発揮します。
従来の雲台のカメラ台は、
クッションとしてゴムやコルクを貼りカメラの滑り止めとしたものが一般的でした。
やわらかいクッションは表面の摩擦が大きいのです。
そのためカメラをカメラ台上でスリップしないように保持することができました。
しかし、やわやかいクッションはわずかな力で大きく変形します。
だからカメラと雲台とを高い剛性をもって一体化することができません。
したがって、カメラに風や撮影者の手から力が加えられたり、
カメラ内部のシャッターなどが動作する際の、微小な振動(ブレ)を抑制することができませんでした。
また、従来の雲台で(特に望遠レンズやマクロレンズで)撮影するとき、
カメラアングル決定後にカメラから手を離すとカメラが動いてアングルがくるってしまうことがありました。
この状態での撮影はとても困難でした。
この現象も前記クッションの変形が原因であることが多かったのです。
そこで、このカメラ高剛性取り付け機構では、
カメラ台の各部分に役割分担をさせました。
クッションがカメラの滑り止めの役を、
剛性体がカメラのブレ防止の役をそれぞれ受け持っています。
そのため、滑り止めのクッションを持ちながらも、
剛性体の作用でカメラと雲台とを高い剛性をもって一体化することができます。
したがってクッションの変形に起因するカメラブレをほぼ無くすことができます。
同時にクッションの変形によって生じるカメラアングルのくるいも大幅に抑制されます。
■高剛性カメラ台
この新型カメラ台はとても高い剛性を持っています。
カメラ台で一番重要なのはカメラを支える上部の板の板厚です。
ここの板厚が不十分ですと、カメラブレを十分抑制することができません。
それではこの部分を、
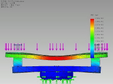
CAEシステム(コンピュータ支援エンジニアリング 構造解析ソフト)で解析してみましょう。

上板の板厚が2.5mmのものの応力解析画像(変位)です。
見やすいように変位が拡大されています。
(カメラネジ締め付けホイールは省略しています)
カメラ台の上板の中央部が、大きく変形しています。
やはり、板厚2.5mmでは不十分です。
そこで、ZS自由雲台では軽量化に配慮しながら、十分な板厚を確保しました。
SL−40ZSシリーズ、SL−50ZSシリーズで t 4.0mm
SL−60ZSシリーズで t 5.0mm
と、十分な板厚です。

上板の板厚が4.0mmのものの応力解析画像(変位)です。
見やすいように変位が拡大されています。
(カメラネジ締め付けホイールは省略しています)
これで上記剛性体の効果と合わせて、カメラブレを十分抑制することができます。

なお、3次元CADシステムとCAEシステムの解説は、
FAQページの「Q.3次元CADとは、CAEとは何ですか?」をご参照ください。
◆フランジ
カメラ台をささえる支柱の上部に、フランジを設けました。
フランジによって、
カメラ台の下部の板と支柱との接触面積を大きくすることができます。
この部分の接触面積の増大はカメラ台の剛性向上に大きな効果があります。
試作・実験で、
フランジのあるものと、無いものの、カメラ台の剛性の比較実験を行ないました。
結果フランジが無く支柱とカメラ台が直接接触しているものでは、
その接触面積が小さいため、
接触部分で変形が起こりカメラ台の剛性が大幅に低下することがわかりました。
それではこの部分を
CAEシステム(コンピュータ支援エンジニアリング 構造解析ソフト)で解析してみましょう。

フランジが無いものの応力解析画像(変位)です。
見やすいように変位が拡大されています。
(カメラネジ締め付けホイールは省略しています)
支柱部分で、カメラ台が大きく変形していることがわかります。
一方、フランジがあるものでは、
接触する部分の変形はほとんど起こらず高い剛性を維持することができました。

フランジがあるものの応力解析画像(変位)です。
見やすいように変位が拡大されています。
(カメラネジ締め付けホイールは省略しています)
そこで、軽量化に配慮しながら、最適な直径のフランジ寸法に設計しました。
フランジと支柱の直径は以下のとおりです。
機種 フランジ直径 支柱直径
SL−40シリーズ 20.5mm 12.0mm
SL−50シリーズ 24.5mm 16.0mm
SL−60シリーズ 29.5mm 18.0mm
なお、3次元CADシステムとCAEシステムの解説は、
FAQページの「Q.3次元CADとは、CAEとは何ですか?」をご参照ください。
■カメラネジ
カメラネジの材質は、真鍮(しんちゅう)を使用し表面にメッキ加工を施しています。
その理由は、
カメラの三脚取り付け用のめねじ穴の材質に多くのカメラが真鍮を使用しているからです。
たとえば、カメラネジに鉄(鋼)を使った場合を考えてみましょう。
カメラネジは、カメラを取り付けるたびにねじ込まれます。
そのとき、雲台側のおねじのカメラネジとカメラ側のめねじ穴が擦れあいます。
金属同士が擦れあえば、当然にやわらかい金属のほうが磨耗していきます。
もしカメラネジに硬い鉄を使うと、カメラのめねじ穴が磨り減ってしまうことになります。
カメラのめねじ穴が真鍮で出来ているということは、真鍮で十分な強度があるということです。ですからカメラのめねじ穴を磨り減らすリスクをおかしてまで、
カメラネジに鉄を使用する理由がありません。
またネジ同士が擦れあう以上、
カメラネジはもともと多少の磨耗は覚悟しなければならない部品です。
ですから磨耗したときに、それが容易にわかるようにしなければなりません。
おねじであるカメラネジは目視で簡単に磨耗を観測することができますし、交換も容易です。
これに対しカメラのめねじ穴は、
磨耗を目視で観測することがとても難しく、しかも交換作業が非常に困難です。
以上の理由で弊社の製品では、
カメラネジの材質に真鍮を使用し、表面には耐摩耗性のあるメッキ加工を施しているわけです。
カメラネジの磨耗が目立ってきたら(ネジがやせてきたように見えます)
交換修理することをおすすめいたします。
それまでには、長い期間使うことができます。
※なおクイックシューSG−80の場合には、
カメラネジの着脱回数が極端に少なくなりますから、
カメラのめねじ穴の摩耗は問題になりません。
ですからマイナスミゾ(すりわり)の強度を重視して、
ステンレス無垢材からの削り出しを採用しています。
カメラネジの規格等については
FAQページの「カメラネジとは、どんなネジなのですか?」
■カメラネジ締め付けホイール
カメラの着脱性を向上させるため新たに四角形の固定式カメラ台を設計いたしました。
カメラ台から独立して回転するカメラ取り付けネジは、
大直径の締付ホイールでカメラにしっかりと締付けられます。
これによりカメラ支持がより安定するようになりました。
〈解説〉
弊社従来品でのカメラの着脱は、
自由雲台のボールを緩めた状態で、
自由雲台のボールと一体になっている「カメラ台」と「カメラ取り付けネジ」をボールごと回転させて、
ねじ込むことによって行なっていました。
この、カメラ台が非常に不安定になるためカメラの取り付けに少々のコツを必要としていました。
新型カメラ台ではボールを固定した状態、
つまりカメラ台が安定固定された状態で、
カメラを簡単に取り付けることができます。
これは、とくに一脚を使用するユーザーにとってまさに劇的な進化といえるでしょう。

■高剛性と軽量化
◆カメラ台
カメラ台の各部には、徹底した軽量化を施しています。
カメラ台の側壁には、軽量化孔加工を行なっています。
小型のFP− 90ZSN 左右に各1孔
中型のFP−100ZSN 左右に各2孔
大型のFP−120ZSN 左右に各3孔
の軽量化孔加工を行なっています。
カメラネジ締め付けホイールの裏面にも、軽量化のための削りこみ加工を行なっています。

これらにより、
SL−40ZSシリーズ 約15g
SL−50ZSシリーズ 約20g
SL−60ZSシリーズ 約40g
の軽量化を達成しました。

◆本体
カメラブレを抑制するきわめて高い剛性体を保ちつつ、徹底的な軽量化設計をしています。
本体内部にもご覧のように、航空機の設計でよく用いられる軽量化穴加工を施しています。
これにより、
SL−40シリーズ 約20g
SL−50シリーズ 約40g
SL−60シリーズ 約70g
の軽量化を達成しました。
■ボールと支柱
ボールの球面部には、高精度の機械加工を行ない自由雲台のスムースな動きと、ブレーキ力を実現しています。
ボールから上方に伸びる支柱は、
カメラ台を支える重要な部分です。
支柱が太いほうが、カメラ台は安定するのですが、
あまり太くしすぎるとカメラアングルの角度が取れなくなってしまします。
そこで試作・実験によりこの部分の寸法の最適化設計を行ないました。
ボールと支柱の直径は以下のとおりです。
機種 ボール直径 支柱直径
SL−40シリーズ 25.0mm 12.0mm
SL−50シリーズ 31.5mm 16.0mm
SL−60シリーズ 37.5mm 18.0mm

■締め付けつまみ、基台、スロット
すべての可動部はつまみひとつで固定されます。操作は非常にスピーディーです。
製品特許取得済み


そして三脚を固定したままで、
締め付けつまみの位置とスロットの位置を、
好きなところに変えることができます。
ご覧のように締め付けつまみの位置は、
三脚に対して、自由になります。
右手側でも左手側でも、
お好きなほうで締め付けつまみの操作ができます。

たて位置のように、
支柱がスロットに入るようなカメラアングルにしたときの
スロットと締め付けつまみの位置関係も、
自由にできます。
締め付けつまみをお好みの位置に持ってきていただければ快適に撮影することができます。
■締め付けつまみの操作
カメラアングルを固定する締め付けつまみは、
どんなシチュエーションでもスムースな操作が可能です。

締め付けつまみを操作するときに、指が本体や基台の側面に接触します。
しかしZS自由雲台では基台部の外周にギザギザ状の突起がないので、
ギザギザが指に当って痛くなるようなことはありません。
また基台部の寸法が適切なため基台部がつまみの操作の邪魔になりません。
■ボールの固定
この自由雲台のボールは、下から押し上げられて固定されます。
独自の内部機構によって、
締め付けつまみに与えられた力は上向きに転換されボールを固定する強い力になります。
その力は最大で、
機種 力
SL−40シリーズ 120キロ (120kgf・1176N)
SL−50シリーズ 160キロ (160kgf・1569N)
SL−60シリーズ 200キロ (200kgf・1961N)
にも達します。
通常は、それよりもはるかに小さい力でボールおよびカメラは固定されます。ですから締め付けつまみにわずかな力を加えるだけでカメラアングルの固定が行なわれるのです。
■カメラアングル
カメラ台は、
通常(支柱をスロットに入れない状態)
SL−40シリーズ、SL−50シリーズで 26°
SL−60シリーズで 29° まで
前後,左右、自由自在に傾けることができます。
ですからほとんどの撮影ではスロットの位置を気にせずにカメラアングルが決められます。
またスロットに支柱を入れた状態にすると、
SL−40シリーズ,SL−50シリーズ,SL−60シリーズのすべてで
約92°まで傾けることができます。
90°より約 2°余裕がありますから、
不整地などで三脚が垂直に立っていなくても、たて位置撮影を容易に行なうことができます。



会社名および商品名は、各社の商標または登録商標です。









